На очередном перекрестке в Октябрьском районе на неделю ограничат движение
22 августа 2025, 11:17
С завтрашнего дня в Октябрьском районе Саратова на очередном востребованном участке дороги будет на несколько дней перекрыто движение, сообщает мэрия.
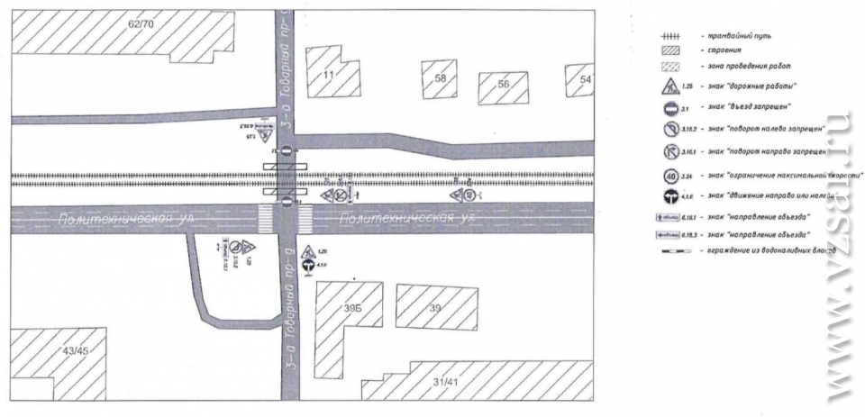
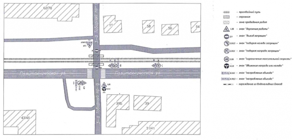
С 7.00 23 августа по 22.00 30 августа в связи с дорожными работами будет перекрыто движение автомобильного транспорта на 3-м Товарном проезде перед улицей Политехнической.
При этом будет действовать временная схема организации дорожного движения.
Вероятно, как и раньше, ограничения связаны с проведением работ в рамках реконструкции трамвайных маршрутов.
Напомним, ранее вводились ограничения на пересечении Политехнической с улицами 1-я, 4-я и 5-я Беговая.
Подпишитесь на канал "ИА "Взгляд-инфо". Новости Саратова" в MAX
Подпишитесь на телеграм-канал "ИА "Взгляд-инфо". Вне формата": заходите - будет интересно
Вы можете прислать сообщения, фото и видео в наш телеграм-бот @Vz_feedbot
Рекомендуемые материалы
Главные новости
Стали свидетелем интересного события?
Поделитесь с нами новостью, фото или видео в мессенджерах:
или свяжитесь по телефону или почте





